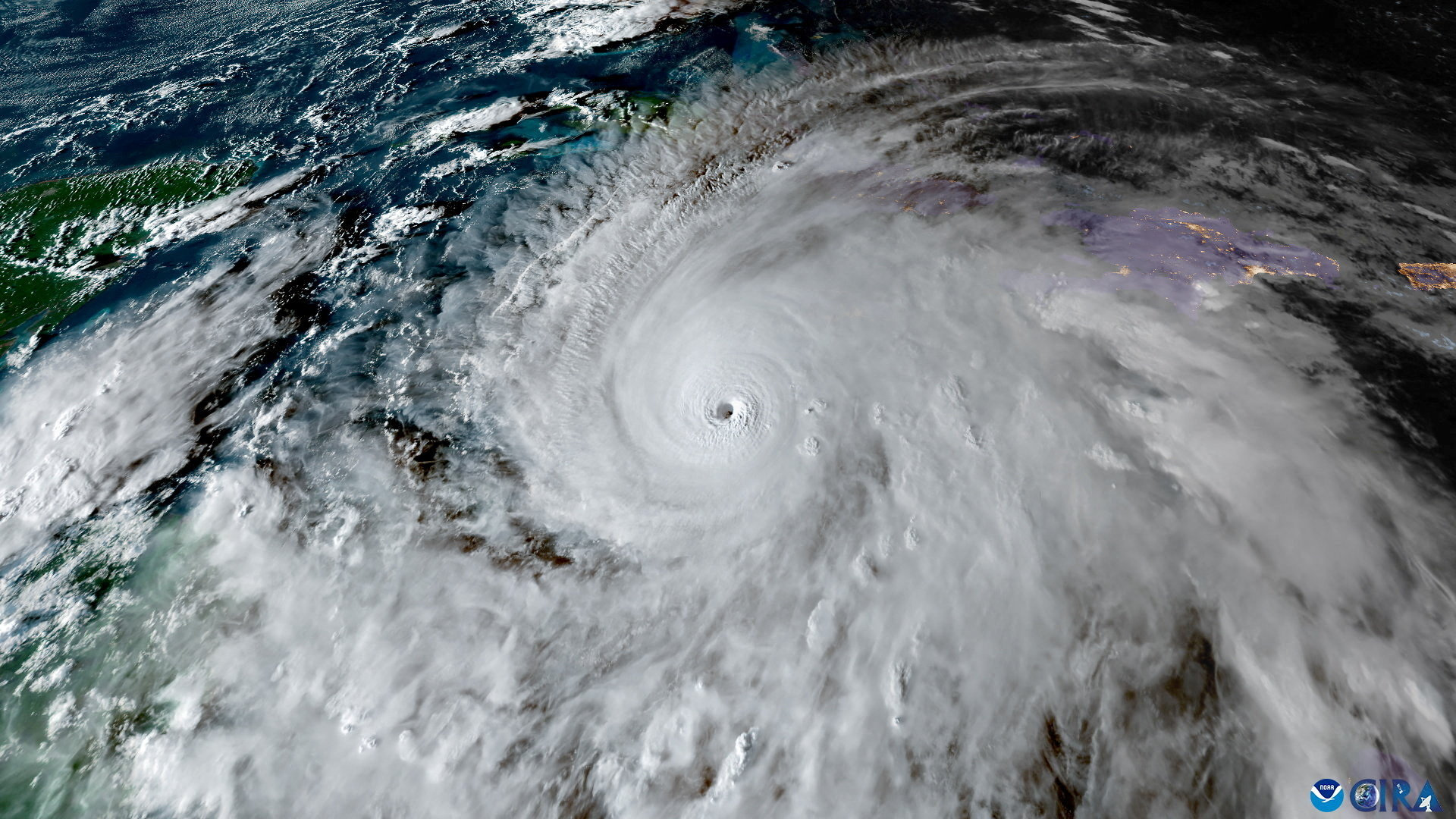
Ο τυφώνας «Μελίσα» πρόκειται να χτυπήσει την Κούβα μετά τη διέλευσή του από την Τζαμάικα, ως η ισχυρότερη καταιγίδα που έχει πλήξει τη χώρα στη σύγχρονη ιστορία. Περισσότεροι από 700.000 άνθρωποι έχουν εκκενώσει τις εστίες τους την Κούβα, καθώς η καταιγίδα αναμένεται να φτάσει «σύντομα», σύμφωνα με το Εθνικό Κέντρο Τυφώνων.
Σύμφωνα με το CNN, o τυφώνας Μελίσα εντάθηκε για λίγο σε καταιγίδα κατηγορίας 4 με ανέμους 130 μίλια/ώρα, χάρη στα ζεστά νερά της Καραϊβικής, καθώς απομακρυνόταν από την Τζαμάικα και άρχιζε να κατευθύνεται προς την Κούβα.
Kατά το αμερικανικό μέσο ενημέρωσης, στις 2 π.μ. ώρα Ανατολικής Ακτής, ο «Μελίσα» επανήλθε σε τυφώνα κατηγορίας 3 με ανέμους 125 μίλια/ώρα, παραμένοντας μια «εξαιρετικά επικίνδυνη» καταιγίδα, σύμφωνα με το Εθνικό Κέντρο Τυφώνων. Ο πυρήνας του τυφώνα αναμένεται να φτάσει στη νοτιοανατολική Κούβα νωρίς το πρωί της Τετάρτης και στη συνέχεια να κινηθεί προς τις κεντρικές ή νοτιοανατολικές Μπαχάμες την Τετάρτη.

REUTERS/Norlys Perez
Ο τυφώνας έχει προκαλέσει μέχρι στιγμής τουλάχιστον επτά θανάτους — τρεις στην Τζαμάικα κατά τη διάρκεια των προετοιμασιών για την καταιγίδα, τρεις στην Αϊτή και έναν στη Δομινικανή Δημοκρατία.
«Καταστροφικές επιπτώσεις»
Στην Τζαμάικα, ο πρωθυπουργός Άντριου Χόλνες κήρυξε «κατάσταση έκτακτης ανάγκης» και προειδοποίησε για «καταστροφικές επιπτώσεις».
Ο τυφώνας Μελίσα έπληξε τις ακτές κοντά στη νοτιοδυτική πόλη Νιου Χόουπ της Τζαμάικα, με ανέμους που έφταναν τα 185 μίλια/ώρα (295 χλμ/ώρα), σύμφωνα με το Εθνικό Κέντρο Τυφώνων των ΗΠΑ, πολύ πάνω από την ελάχιστη ταχύτητα ανέμου 157 μίλια/ώρα (252 χλμ/ώρα) ενός τυφώνα κατηγορίας 5, το υψηλότερο επίπεδο στην κλίμακα ανέμων Saffir-Simpson.

CSU/CIRA & NOAA/Handout via REUTERS
Στη νοτιοδυτική Τζαμάικα, η ενορία της Αγίας Ελισάβετ έμεινε «κάτω από το νερό», σύμφωνα με έναν αξιωματούχο, με περισσότερους από 500.000 κατοίκους χωρίς ηλεκτρικό ρεύμα.

REUTERS/Octavio Jones
«Οι αναφορές που έχουμε λάβει μέχρι στιγμής περιλαμβάνουν ζημιές σε νοσοκομεία, σημαντικές ζημιές σε κατοικίες και εμπορικά ακίνητα, καθώς και ζημιές στις οδικές υποδομές», δήλωσε ο πρωθυπουργός της Τζαμάικας, Άντριου Χόλνες, στο CNN μετά το πέρασμα της καταιγίδας.
Non stop rain in Santiago de Cuba right now…. pic.twitter.com/geLAnjZ86K
— Patrick Oppmann CNN (@CNN_Oppmann) October 29, 2025
Ο Χόλνες είπε ότι η κυβέρνηση δεν έχει λάβει καμία επιβεβαιωμένη αναφορά για θανάτους που να σχετίζονται με την καταιγίδα, αλλά δεδομένης της έντασης του τυφώνα και της έκτασης των ζημιών, «αναμένουμε ότι θα υπάρξουν κάποιες απώλειες ζωών».
Οι αρχές της Κούβας ανέφεραν ότι περίπου 500.000 άτομα έλαβαν εντολή να μετακινηθούν σε υψηλότερα εδάφη. Στις Μπαχάμες, που βρίσκονται στη διαδρομή της Μελίσα προς τα βορειοανατολικά, η κυβέρνηση διέταξε την εκκένωση των κατοίκων στα νότια τμήματα του αρχιπελάγους.
Πηγές: BBC, CNN, Reuters







