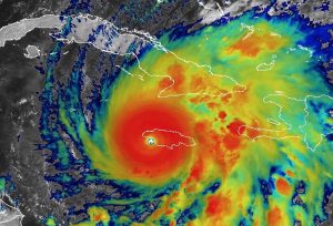
Τυφώνας Melissa: Η «Καταιγίδα του Αιώνα» σαρώνει με 300 χλμ την Καραϊβική – Live εικόνα
Η Τζαμάικα πλήττεται από τον ισχυρότερο τυφώνα στην ιστορία της, ενώ οι αρχές σε όλη την Καραϊβική προετοιμάζονται για πρωτοφανείς καταστροφές και μαζικές εκκενώσεις
Αντιγράψτε και επικολλήστε αυτόν τον σύνδεσμο στον WordPress ιστότοπο για ενσωμάτωση
Αντιγράψτε και επικολλήστε αυτόν τον κώδικα στον ιστότοπό σας για να ενσωματωθεί